Prywatne
Rodzaj: Działki budowlane
Powierzchnia: 5 010 m²
Cena za m²: 240 zł/m²
Opis
Do sprzedania 4 działki w Chrzanowie Dużym (okolice Grodziska Mazowieckiego)
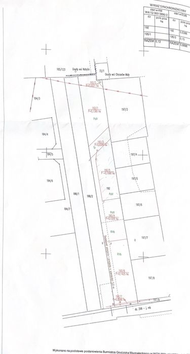
Cztery bardzo atrakcyjne działki.
Działka 1. Nr. 192/6 - 1425 m (w tym służebność 300m - należy odjąć od wielkości działki)
Działka 2. Nr. 192/4 - 1205 m (w tym służebność 200m - należy odjąć od wielkości działki)
Działka 3. Nr. 192/5 - 1000 m (w tym służebność 250m - należy odjąć od wielkości działki)
Działka 4. Nr 192/1 - 1380 m ( bez służebności)
Działki zlokalizowane na przeciwko posesji Chrzanów Duży 17a.
Działki zlokalizowane w spokojnej okolicy. Do ścisłego centrum Grodziska Mazowieckiego kilka minut samochodem bez korków, blisko sklepy, szkoła, przedszkole, kościół, przystanki komunikacji miejskiej, autostrada A2.
Możliwość zakupu całości jak i pojedynczych działek.
Cztery bardzo atrakcyjne działki.
Działka 1. Nr. 192/6 - 1425 m (w tym służebność 300m - należy odjąć od wielkości działki)
Działka 2. Nr. 192/4 - 1205 m (w tym służebność 200m - należy odjąć od wielkości działki)
Działka 3. Nr. 192/5 - 1000 m (w tym służebność 250m - należy odjąć od wielkości działki)
Działka 4. Nr 192/1 - 1380 m ( bez służebności)
Działki zlokalizowane na przeciwko posesji Chrzanów Duży 17a.
Działki zlokalizowane w spokojnej okolicy. Do ścisłego centrum Grodziska Mazowieckiego kilka minut samochodem bez korków, blisko sklepy, szkoła, przedszkole, kościół, przystanki komunikacji miejskiej, autostrada A2.
Możliwość zakupu całości jak i pojedynczych działek.
ID: 1026841975
xxx xxx xxx
Dodane 14 października 2025
Sprzedam 4 działki budowlane
1 202 400 zł
do negocjacji
Lokalizacja
Chrzanów Duży
Mazowieckie