Prywatne
Rodzaj: Działki budowlane
Powierzchnia: 6,81 m²
Cena za m²: 18355.36 zł/m²
Opis
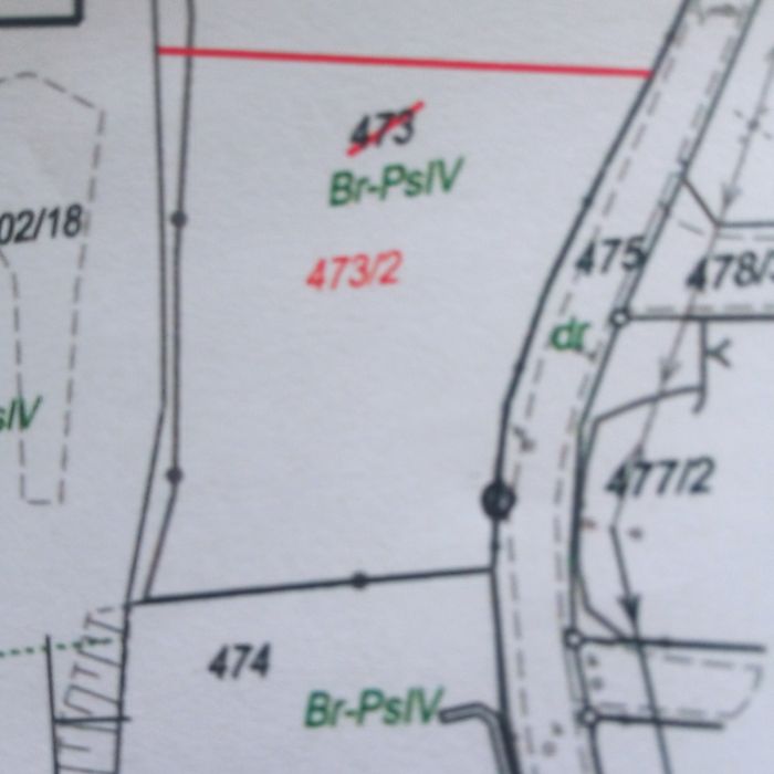
Dzialka budowlana 6.81 ar ( 681m2)
Przy drodze asfaltowej. Media- kanalizacja 10cm; woda 1m.
; prad -2m. w granicy dzialki.
Do stacji PKP 6min samochodem. Spacerem rowno 30min.
dojazd do Krakowa - to 17minut.
Idealne miejsce dla osób szukających działki w cichym i spokojnym miejscu z dala od gęstej zabudowy.
W okolicy 200m sklep,
Przedszkole i szkola Podstawowa to rowno 3min jazdy.
Cisza i spokoj a mimo to bliskosc do centrum gdzie liczne sklepy, kawiarenki i szczegolny spokojny klimat Krzeszowic.
5minut spaceru do Parku Krajobrazowego.
Lasy i làki w okolicy.
Domki na zdj. to pogladowy plan jaki mial powstac na dzialce.
( ze wzg na zmiane syt.rodzinnej plan ulegl zmianie)
Działka w miejscowym planie zagospodarowania przestrzennego posiada oznaczenie:
M- tereny mieszkalnictwa zagrodowego,jednorodzinnego.
Działka jest ze spadem poziomu gruntu w stronę południowo-zachodnim. Co daje architektonicznie szanse na ciekawy projekt np z tarasem i salonem z poziomu gruntu :)
12min spacerem od nowo powstajacego basenu w kompleksie sportowym. Liczne trasy rowerowe w okolicy.
Przy drodze asfaltowej. Media- kanalizacja 10cm; woda 1m.
; prad -2m. w granicy dzialki.
Do stacji PKP 6min samochodem. Spacerem rowno 30min.
dojazd do Krakowa - to 17minut.
Idealne miejsce dla osób szukających działki w cichym i spokojnym miejscu z dala od gęstej zabudowy.
W okolicy 200m sklep,
Przedszkole i szkola Podstawowa to rowno 3min jazdy.
Cisza i spokoj a mimo to bliskosc do centrum gdzie liczne sklepy, kawiarenki i szczegolny spokojny klimat Krzeszowic.
5minut spaceru do Parku Krajobrazowego.
Lasy i làki w okolicy.
Domki na zdj. to pogladowy plan jaki mial powstac na dzialce.
( ze wzg na zmiane syt.rodzinnej plan ulegl zmianie)
Działka w miejscowym planie zagospodarowania przestrzennego posiada oznaczenie:
M- tereny mieszkalnictwa zagrodowego,jednorodzinnego.
Działka jest ze spadem poziomu gruntu w stronę południowo-zachodnim. Co daje architektonicznie szanse na ciekawy projekt np z tarasem i salonem z poziomu gruntu :)
12min spacerem od nowo powstajacego basenu w kompleksie sportowym. Liczne trasy rowerowe w okolicy.
ID: 1033550395
xxx xxx xxx
Dodane 22 grudnia 2025
Promocja Noworoczna. Aktualna do konca roku. Sprzedam dzialke budowlan
125 000 zł
Lokalizacja
Chrzanów
Małopolskie