Prywatne
Rodzaj: Działki budowlane
Powierzchnia: 975 m²
Cena za m²: 230 zł/m²
Opis
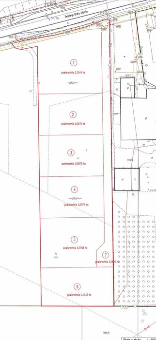
Sprzedam 6 działek z wydaną decyzją o warunkach zabudowy w Imielinie, Powiat Bieruńsko-Lędziński woj. Śląskie. Działki znajdują się przy ulicy Brata Alberta, pomiędzy ulicą Leśną a Podmiejską. Na każdej działce można zbudować dom jednorodzinny - dopuszcza się zabudowę do dwóch kondygnacji naziemnych.
Działki:
1. działka 4599/4 o pow. 1545 m² - Rezerwacja
2. działka 4600/4 o pow. 975 m² - Rezerwacja
3. działka 4601/4 o pow. 975 m²
4. działka 4602/4 o pow. 975 m²
5. działka 4603/4 o pow. 1109 m²
6. działka 4604/4 o pow. 1033 m²
Cena 230.00 zł za m²
Do z każdej z działek przynależy jest też udział w drodze wewnętrznej 4605/4 – 6 x 136,33 m²
Działki są oznaczone stałymi punktami geodezyjnymi wkopanymi przez geodetę.
Wszystkie działki mają dostęp do drogi wewnętrznej dochodzącej do drogi
powiatowej nr 5914.
Możliwość zakupu jednej lub kilku działek.
Komunikacja:
Przystanek autobusowy 995 i M22 - 3 min
Dworzec PKP z centrum przesiadkowym ok. 1,5 km
Centrum Imielina ok. 2,5 km
Katowice 22 km.
Tychy 14 km
Droga powiatowa - nr 5914
Droga wojewódzka – 934
Droga ekspresowa - S1
Autostrada - A4
Lotnisko - 50 km
- Kościół,
- Ośrodek zdrowia,
- Szkoła,
- Przedszkole, żłobek,
- Stacja benzynowa
Media:
Energia elektryczna
Woda
Kanalizacja
Światłowód
znajdują się przy drodze powiatowej.
Działki:
1. działka 4599/4 o pow. 1545 m² - Rezerwacja
2. działka 4600/4 o pow. 975 m² - Rezerwacja
3. działka 4601/4 o pow. 975 m²
4. działka 4602/4 o pow. 975 m²
5. działka 4603/4 o pow. 1109 m²
6. działka 4604/4 o pow. 1033 m²
Cena 230.00 zł za m²
Do z każdej z działek przynależy jest też udział w drodze wewnętrznej 4605/4 – 6 x 136,33 m²
Działki są oznaczone stałymi punktami geodezyjnymi wkopanymi przez geodetę.
Wszystkie działki mają dostęp do drogi wewnętrznej dochodzącej do drogi
powiatowej nr 5914.
Możliwość zakupu jednej lub kilku działek.
Komunikacja:
Przystanek autobusowy 995 i M22 - 3 min
Dworzec PKP z centrum przesiadkowym ok. 1,5 km
Centrum Imielina ok. 2,5 km
Katowice 22 km.
Tychy 14 km
Droga powiatowa - nr 5914
Droga wojewódzka – 934
Droga ekspresowa - S1
Autostrada - A4
Lotnisko - 50 km
- Kościół,
- Ośrodek zdrowia,
- Szkoła,
- Przedszkole, żłobek,
- Stacja benzynowa
Media:
Energia elektryczna
Woda
Kanalizacja
Światłowód
znajdują się przy drodze powiatowej.
ID: 994240905
xxx xxx xxx
Dodane 03 października 2025
Oferuję Państwu 6 atrakcyjnych działek w Imielinie - pow. od 975 m²
224 250 zł
do negocjacji
Lokalizacja
Imielin, Nowa Gać
Śląskie