Prywatne
Rodzaj: Działki siedliskowe
Powierzchnia: 24 717 m²
Cena za m²: 6.47 zł/m²
Opis
Sprzedam gospodarstwo składające się z działki rolno-budowlanej o powierzchni 24717m2 oraz starego domu, położone w miejscowości Hruszew w gminie Platerów, w powiecie łosickim.
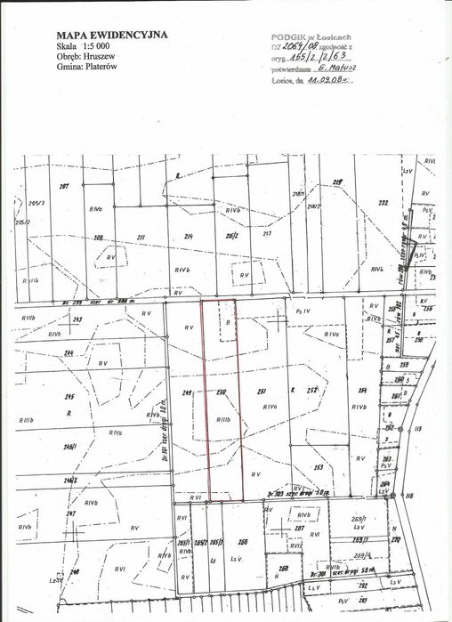
Działka ma numer 250 obręb Hruszew.
Część działki, stanowiąca ok 2500m2 jest wydzielona, rośnie na niej sad i stoi stary drewniany dom.
Ta część działki jest oznaczona literą B na mapie, co oznacza, że jest przeznaczona pod zabudowę.
Wewnątrz domu jest hol z piecem chlebowym i cztery izby.
Gospodarstwo leży pomiędzy dwiema drogami, co najlepiej obrazuje załączona mapka, a do budynku dochodzi linia energetyczna.
Dom wymaga remontu, ale jego konstrukcja jest stabilna i zdrowa.
Można też postawić na jego miejscu nowy dom w ramach remontu.
Na działce jest studnia, ale należy ją pogłębić.
Klasa ziemi to głównie RIIIb, RIIIa, RIVb i RV.
Gospodarstwo ma dużo uroku ze względu na atrakcyjne położenie przy mało uczęszczanej drodze w odległości ok 300m od centrum wsi i na samo położenie domu pośród starych drzew, ma ona więc niewątpliwe walory rekreacyjne.
Hruszew leży przy drodze powiatowej bardzo blisko Drohiczyna po drugiej stronie Bugu
w odległosci ok 4km od rzeki i bezpośrednio przylega do wsi Rusków, gdzie znajdują się sklepy, dwa kościoły oraz dwór i dawne zabudowania folwarczne. Okolica jest bardzo ładna, cicha , spokojna, idealna do wypoczynku. Dodatkową atrakcją jest dolina Bugu i bliskie położenie miejscowości Korczew z pięknym pałacem.
Wymiary działki: 64m wzdłuż drogi na 390m pomiędzy dwiema drogami.
Bardzo polecam.
Mam jeszcze do sprzedania bardzo atrakcyjną działkę 3080m2 w Drohiczynie nad samym Bugiem.
Andrzej
tel: 50*****14
Działka ma numer 250 obręb Hruszew.
Część działki, stanowiąca ok 2500m2 jest wydzielona, rośnie na niej sad i stoi stary drewniany dom.
Ta część działki jest oznaczona literą B na mapie, co oznacza, że jest przeznaczona pod zabudowę.
Wewnątrz domu jest hol z piecem chlebowym i cztery izby.
Gospodarstwo leży pomiędzy dwiema drogami, co najlepiej obrazuje załączona mapka, a do budynku dochodzi linia energetyczna.
Dom wymaga remontu, ale jego konstrukcja jest stabilna i zdrowa.
Można też postawić na jego miejscu nowy dom w ramach remontu.
Na działce jest studnia, ale należy ją pogłębić.
Klasa ziemi to głównie RIIIb, RIIIa, RIVb i RV.
Gospodarstwo ma dużo uroku ze względu na atrakcyjne położenie przy mało uczęszczanej drodze w odległości ok 300m od centrum wsi i na samo położenie domu pośród starych drzew, ma ona więc niewątpliwe walory rekreacyjne.
Hruszew leży przy drodze powiatowej bardzo blisko Drohiczyna po drugiej stronie Bugu
w odległosci ok 4km od rzeki i bezpośrednio przylega do wsi Rusków, gdzie znajdują się sklepy, dwa kościoły oraz dwór i dawne zabudowania folwarczne. Okolica jest bardzo ładna, cicha , spokojna, idealna do wypoczynku. Dodatkową atrakcją jest dolina Bugu i bliskie położenie miejscowości Korczew z pięknym pałacem.
Wymiary działki: 64m wzdłuż drogi na 390m pomiędzy dwiema drogami.
Bardzo polecam.
Mam jeszcze do sprzedania bardzo atrakcyjną działkę 3080m2 w Drohiczynie nad samym Bugiem.
Andrzej
tel: 50*****14
ID: 996209154
xxx xxx xxx
Dodane 24 września 2025
Gospodarstwo rolne 2,5ha Hruszew gm. Platerów pow. Łosice
160 000 zł
do negocjacji
Lokalizacja
Hruszew
Mazowieckie