Prywatne
Rodzaj: Działki budowlane
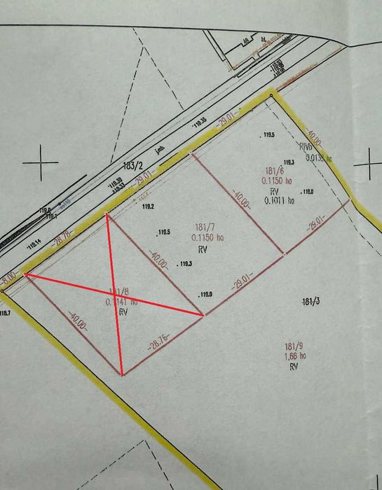
Powierzchnia: 1 150 m²
Cena za m²: 62.61 zł/m²
Opis
Sprzedam dwie działki budowlane w miejscowości Mięcierzyn, gmina Rogowo, powiat żniński.
Powierzchnie działek:
1. 1150 m2
2. 1150 m2
Każda z działek jest położona przy drodze asfaltowej. Po drugiej stronie drogi znajduje się szkoła podstawowa, świetlica wiejska, plac zabaw oraz boisko.
W okolicy lasy, 300 m do najbliższego sklepu, 3 km do drogi ekspresowej S5.
20 km do Gniezna, 60 km do Bydgoszczy, 70 km do Poznania.
MEDIA: prąd, woda – w drodze
Możliwość podłączenia światłowodu.
Każda działka posiada warunki zabudowy na budowę budynku mieszkalnego jednorodzinnego.
Kontakt:
tel. 66*****23
tel. 69*****35
Powierzchnie działek:
1. 1150 m2
2. 1150 m2
Każda z działek jest położona przy drodze asfaltowej. Po drugiej stronie drogi znajduje się szkoła podstawowa, świetlica wiejska, plac zabaw oraz boisko.
W okolicy lasy, 300 m do najbliższego sklepu, 3 km do drogi ekspresowej S5.
20 km do Gniezna, 60 km do Bydgoszczy, 70 km do Poznania.
MEDIA: prąd, woda – w drodze
Możliwość podłączenia światłowodu.
Każda działka posiada warunki zabudowy na budowę budynku mieszkalnego jednorodzinnego.
Kontakt:
tel. 66*****23
tel. 69*****35
ID: 972840138
xxx xxx xxx
Dodane 30 września 2025
Działki budowlane przy drodze powiatowej
72 000 zł
Lokalizacja
Mięcierzyn
Kujawsko-pomorskie