Prywatne
Rodzaj: Działki budowlane
Powierzchnia: 1 000 m²
Cena za m²: 180 zł/m²
Opis
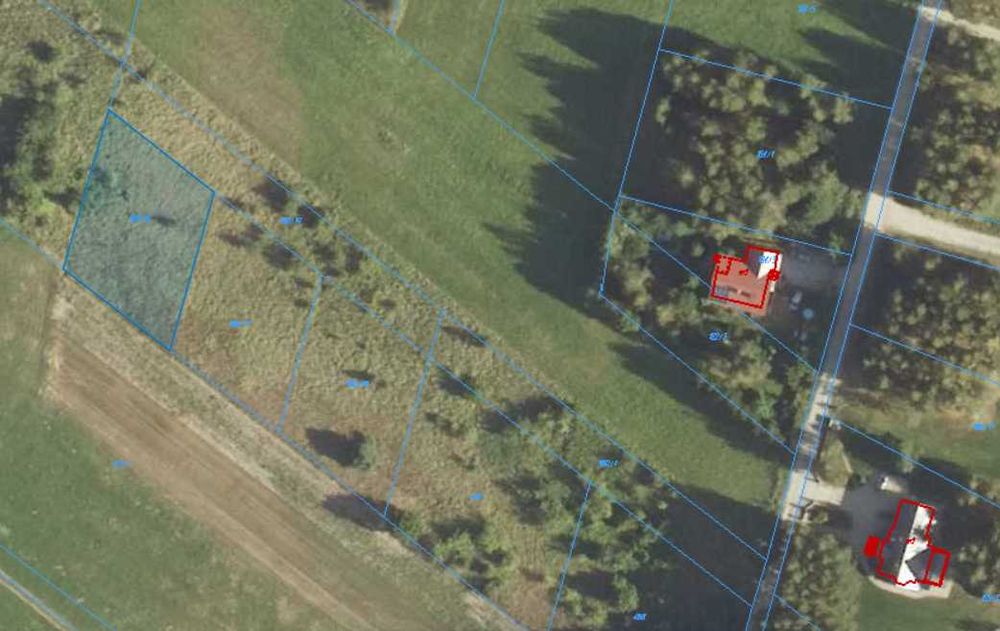
Sprzedam działkę rolno-budowlaną o nr ewid. 180/16 na pograniczu miejscowości Podleńce/Letniki o powierzchni 1000 m2 i wymiarach ok. 29x35 m, przeznaczona pod zabudowę jednorodzinną . Spokojna i malownicza okolica, idealna dla miłośników natury, blisko Białegostoku i wszystkich udogodnień. Teren w bezpiecznej odległości od budowanych dróg szybkiego ruchu , co zapewnia ciszę i spokój , a zarazem szybki dojazd do granic Białegostoku ok. 7 km. Do przystanku autobusowego linia nr 400 około 10 minut pieszo. Wydane warunki zabudowy na budynek mieszkalny jednorodzinny parterowy z poddaszem użytkowy, wraz z niezbędnymi urządzeniami budowlanymi , w tym :
udział powierzchni zabudowy w stosunku do powierzchni działki do 15%
szerokość elewacji frontowej -15,5m z tolerancją do 20 %
wysokość projektowanego budynku do 8,7m
dach dwuspadowy o kacie nachylenia od 35 ' do 45 '
Zasilanie w energię elektryczną – umowa podpisana na przyłączenie prądu 15kW na marzec 2026r , studnia głębinowa, zbiornik szczelny o pojemności do 10m3 , wjazd z drogi gminnej ( zjazd ustalony w gminie ). Współwłasność w drodze wewnętrznej o szerokości 10 m, droga polna . Media w drodze gminnej: woda , prąd. Działka położona korzystnie względem stron świata oraz pozyskiwania energii z promieni słonecznych.
Zapraszam do kontaktu !
udział powierzchni zabudowy w stosunku do powierzchni działki do 15%
szerokość elewacji frontowej -15,5m z tolerancją do 20 %
wysokość projektowanego budynku do 8,7m
dach dwuspadowy o kacie nachylenia od 35 ' do 45 '
Zasilanie w energię elektryczną – umowa podpisana na przyłączenie prądu 15kW na marzec 2026r , studnia głębinowa, zbiornik szczelny o pojemności do 10m3 , wjazd z drogi gminnej ( zjazd ustalony w gminie ). Współwłasność w drodze wewnętrznej o szerokości 10 m, droga polna . Media w drodze gminnej: woda , prąd. Działka położona korzystnie względem stron świata oraz pozyskiwania energii z promieni słonecznych.
Zapraszam do kontaktu !
ID: 973258469
xxx xxx xxx
Dodane 26 listopada 2025
Działka Podleńce/Letniki 1000m2 !!!
180 000 zł
Lokalizacja
Letniki
Podlaskie