Firmowe
Rodzaj: Działki rolno-budowlane
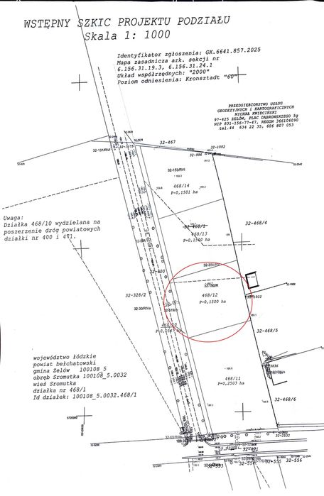
Powierzchnia: 1 500 m²
Cena za m²: 80 zł/m²
Opis
Działka 1500 m² – 3MN | Spokojna okolica | Asfalt | Media w realizacji
Na sprzedaż działka nr 468/12 o powierzchni 1500 m² (0,1500 ha)
Położona w bardzo spokojnym, zielonym otoczeniu – idealna pod budowę domu jednorodzinnego lub zabudowę zagrodową.
Przeznaczenie (MPZP – symbol 3MN):
Niska zabudowa mieszkaniowa i zagrodowa (przeznaczenie podstawowe)
Funkcja zagrodowa lub usługowo-handlowa (przeznaczenie uzupełniające)
Media:
Prąd – w trakcie realizacji przyłącza
Woda – w trakcie realizacji przyłącza
Dojazd:
Bezpośredni dojazd drogą asfaltową
Wygodny dostęp do tras prowadzących w kierunku okolicznych miejscowości
Atuty lokalizacji:
cicha, zielona i spokojna okolica
blisko lasów i terenów rekreacyjnych
szybki dojazd do Zelowa, Bełchatowa i Piotrkowa Trybunalskiego
idealna dla osób ceniących naturę i jednocześnie wygodny dostęp do miasta
Status prawny:
pełna własność prywatna
księga wieczysta
brak obciążeń
Kontakt
8. 8. 3. 7. 1. 2. 4. 0. 0.
Na sprzedaż działka nr 468/12 o powierzchni 1500 m² (0,1500 ha)
Położona w bardzo spokojnym, zielonym otoczeniu – idealna pod budowę domu jednorodzinnego lub zabudowę zagrodową.
Przeznaczenie (MPZP – symbol 3MN):
Niska zabudowa mieszkaniowa i zagrodowa (przeznaczenie podstawowe)
Funkcja zagrodowa lub usługowo-handlowa (przeznaczenie uzupełniające)
Media:
Prąd – w trakcie realizacji przyłącza
Woda – w trakcie realizacji przyłącza
Dojazd:
Bezpośredni dojazd drogą asfaltową
Wygodny dostęp do tras prowadzących w kierunku okolicznych miejscowości
Atuty lokalizacji:
cicha, zielona i spokojna okolica
blisko lasów i terenów rekreacyjnych
szybki dojazd do Zelowa, Bełchatowa i Piotrkowa Trybunalskiego
idealna dla osób ceniących naturę i jednocześnie wygodny dostęp do miasta
Status prawny:
pełna własność prywatna
księga wieczysta
brak obciążeń
Kontakt
8. 8. 3. 7. 1. 2. 4. 0. 0.
ID: 1043346373
xxx xxx xxx
Dodane 08 grudnia 2025
działka na sprzedaż Sromutka, gm. Zelów
120 000 zł
Lokalizacja
Sromutka
Łódzkie