Prywatne
Rodzaj: Działki budowlane
Powierzchnia: 2 058 m²
Cena za m²: 191.93 zł/m²
Opis
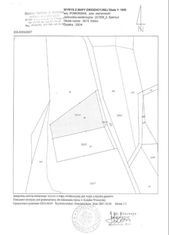
Działka uzbrojona w miejscowości Kileno k. Koleczkowa z planem zagospodarowania przestrzennego do zabudowy jednorodzinnej całorocznej. Działka ma kształt trapezu, na skraju lasu od strony zachodniej i drogi od strony wschodniej, od strony północnej 200 m od jeziora Marchowo, gdzie znajduje się ochronny pas zieleni. 900 m drogą utwardzoną do drogi asfaltowej i kolejne 800m asfaltem do drogi S6, 20 km od Centrum Gdyni, 30 km od Centrum Gdańska. Działka położona w otulinie Trójmiejskiego Parku Krajobrazowego.
Działka użyczona rolnikowi, dzięki czemu nie porasta drzewami z sąsiadującego lasu i nie będzie problemu z ewentualnym usunięciem w przyszłości.
Nr działki 330/4
:54.47064,18.33082,19;p:MjIxNTA5XzIuMDAxMC4zMzAvNA==
Działka użyczona rolnikowi, dzięki czemu nie porasta drzewami z sąsiadującego lasu i nie będzie problemu z ewentualnym usunięciem w przyszłości.
Nr działki 330/4
:54.47064,18.33082,19;p:MjIxNTA5XzIuMDAxMC4zMzAvNA==
ID: 1022300380
xxx xxx xxx
Dodane 22 stycznia 2026
Działka na sprzedaż
395 000 zł
Lokalizacja
Koleczkowo
Pomorskie
