Prywatne
Rodzaj: Działki budowlane
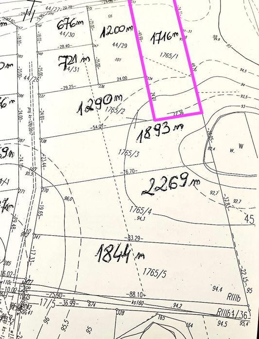
Powierzchnia: 1 716 m²
Cena za m²: 115 zł/m²
Opis
* Działka budowlana *
Sprzedam działkę budowlaną w Nakle nad Notecią.
Znajduje się ona na Osiedlu Leśnym, na ulicy Orlej (okolice ulic: Leśnej, Brzozowej, Jastrzębiej, Słowikowej)
Położona jest w pobliżu lasu, co zapewnia spokój oraz dwa stawy.
Osiedle ciągle się rozwija, między innymi znajduje się tutaj gabinet kosmetyczno-podologiczny.
Kilka ulic dalej znajdą Państwo sklep spożywczy.
Zaletą tej działki jest dużo zieleni i miejsc spacerowych w okolicy oraz cisza.
Wszystkie media znajdują się w utwardzonych drogach (media: gaz, woda, kanalizacja, prąd)
Cena za metr kwadratowy działki to 115 zł (cena podlega negocjacji).
W razie jakichkolwiek pytań oraz wątpliwości proszę o kontakt, chętnie wszystko wytłumaczę i opowiem.
Jeśli nie mogą się Państwo ze mną skontaktować to proszę o wiadomość SMS, a ja oddzwonię.
* Wymiary działki zostały podane na zdjęciu.
Sprzedam działkę budowlaną w Nakle nad Notecią.
Znajduje się ona na Osiedlu Leśnym, na ulicy Orlej (okolice ulic: Leśnej, Brzozowej, Jastrzębiej, Słowikowej)
Położona jest w pobliżu lasu, co zapewnia spokój oraz dwa stawy.
Osiedle ciągle się rozwija, między innymi znajduje się tutaj gabinet kosmetyczno-podologiczny.
Kilka ulic dalej znajdą Państwo sklep spożywczy.
Zaletą tej działki jest dużo zieleni i miejsc spacerowych w okolicy oraz cisza.
Wszystkie media znajdują się w utwardzonych drogach (media: gaz, woda, kanalizacja, prąd)
Cena za metr kwadratowy działki to 115 zł (cena podlega negocjacji).
W razie jakichkolwiek pytań oraz wątpliwości proszę o kontakt, chętnie wszystko wytłumaczę i opowiem.
Jeśli nie mogą się Państwo ze mną skontaktować to proszę o wiadomość SMS, a ja oddzwonię.
* Wymiary działki zostały podane na zdjęciu.
ID: 927560933
xxx xxx xxx
Dodane 13 lutego 2026
Działka budowlana ul. Orla Nakło
197 340 zł
do negocjacji
Lokalizacja
Nakło nad Notecią
Kujawsko-pomorskie