Prywatne
Rodzaj: Działki budowlane
Powierzchnia: 1 053 m²
Cena za m²: 95 zł/m²
Opis
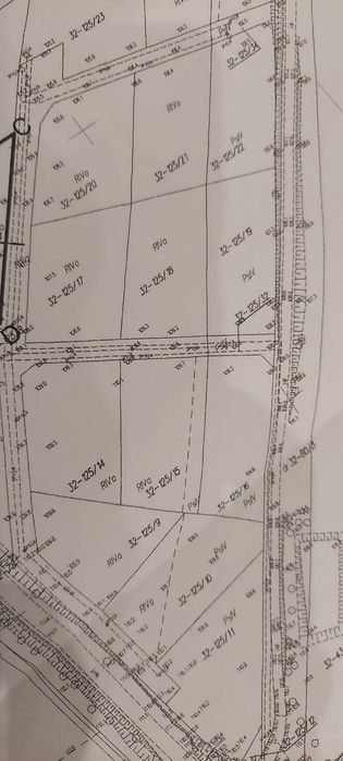
Sprzedam działki budowlane w okolicach Kętrzyna w miejscowości Nowa Wieś Mała. Wszystkie media przy działkach budowlanych dla których zostały wydane warunki zabudowy. Dojazd bezpośrednio z drogi powiatowej i gminnej. Cicha i sokojna okolica.
Działka: 125/15 1053m2
Pozostałe działki dostępne:
125/9 823m2
125/11 1113m2
125/16 973m2
125/19 992m2
125/21 941m2
125/22 939m2
125/23 1152m2
125/24 1023m2
125/26 1040m2
125/27 1009m2
125/28 1251m2
125/29 932m2
125/30 1058m2
125/31 983m2
Więcej informacji tel. Zapraszam do kontaktu.
Działka: 125/15 1053m2
Pozostałe działki dostępne:
125/9 823m2
125/11 1113m2
125/16 973m2
125/19 992m2
125/21 941m2
125/22 939m2
125/23 1152m2
125/24 1023m2
125/26 1040m2
125/27 1009m2
125/28 1251m2
125/29 932m2
125/30 1058m2
125/31 983m2
Więcej informacji tel. Zapraszam do kontaktu.
ID: 989291839
xxx xxx xxx
Dodane 03 lutego 2026
Działka budowlana Nowa Wieś Mała
100 035 zł
Lokalizacja
Nowa Wieś Mała
Warmińsko-mazurskie
