Prywatne
Rodzaj: Działki budowlane
Powierzchnia: 910 m²
Cena za m²: 153.85 zł/m²
Opis
Sprzedam działkę o powierzchni 910m wymiary szerokość 24m a długość 38m
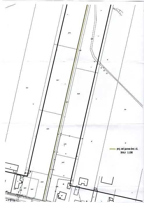
Działka położona jest w miejscowości AUGUSTÓW gmina KOWALA obręb geodezyjny ZABIERZÓW w cichej spokojnej okolicy zaledwie 3km od granic Radomia a do centrum Radomia jest 12km 15 minut samochodem a do M 1 i Osiedla Południe obwodnicą południową 10 minut, plusem działki jest to że ruch tranzytowy który przebiegał tak do nie dawna starą trasą E7 został przeniesiony na nowe obwodnicę więc stara trasa E7 stała się trasą lokalną o małym natężeniu ruchu. Wymiary działki to szerokość 24m a długość 38. W niedalekiej przyszłości ma być przeciągnięta nitka z gazem po stronie działki, co widać na załączonej mapie projektowej sieci gazowej. Choć działka jest położona blisko Radomia ma swoje atutu dużo zieleni i lasy, blisko stawy Kosowskie. Do działki prowadzi droga asfaltowa, Działka może posiadać dwa zjazdy jeden z drogi gminnej drugi z drogi wewnętrznej gdzie nowy nabywca nabędzie praw do drogi przy zakupie działki więc jest to tez duży plus gdyż z jednej strony można zrobić wjazd z drugiej wyjazd. Sąsiedzi spokojny i mili blisko sklep spożywczy, kościół i szkoła podstawowa. Działka nie jest niczym obsadzona niema żadnych drzew. Nie zawsze mogę odebrać więc proszę o SMS lub o kontakt później. Biurom i agencją nieruchomości z góry dziękuję za sprzedaż i proszę nie dzwonić. Stan działki prawny: założona księga wieczysta, działka nie jest przedmiotem żadnej licytacji i zajęcia komorniczego, jeden właściciel ZIEMI UBYWA A NIE PRZYBYWA :)
Działka położona jest w miejscowości AUGUSTÓW gmina KOWALA obręb geodezyjny ZABIERZÓW w cichej spokojnej okolicy zaledwie 3km od granic Radomia a do centrum Radomia jest 12km 15 minut samochodem a do M 1 i Osiedla Południe obwodnicą południową 10 minut, plusem działki jest to że ruch tranzytowy który przebiegał tak do nie dawna starą trasą E7 został przeniesiony na nowe obwodnicę więc stara trasa E7 stała się trasą lokalną o małym natężeniu ruchu. Wymiary działki to szerokość 24m a długość 38. W niedalekiej przyszłości ma być przeciągnięta nitka z gazem po stronie działki, co widać na załączonej mapie projektowej sieci gazowej. Choć działka jest położona blisko Radomia ma swoje atutu dużo zieleni i lasy, blisko stawy Kosowskie. Do działki prowadzi droga asfaltowa, Działka może posiadać dwa zjazdy jeden z drogi gminnej drugi z drogi wewnętrznej gdzie nowy nabywca nabędzie praw do drogi przy zakupie działki więc jest to tez duży plus gdyż z jednej strony można zrobić wjazd z drugiej wyjazd. Sąsiedzi spokojny i mili blisko sklep spożywczy, kościół i szkoła podstawowa. Działka nie jest niczym obsadzona niema żadnych drzew. Nie zawsze mogę odebrać więc proszę o SMS lub o kontakt później. Biurom i agencją nieruchomości z góry dziękuję za sprzedaż i proszę nie dzwonić. Stan działki prawny: założona księga wieczysta, działka nie jest przedmiotem żadnej licytacji i zajęcia komorniczego, jeden właściciel ZIEMI UBYWA A NIE PRZYBYWA :)
ID: 1047375428
xxx xxx xxx
Dodane 03 stycznia 2026
Działka budowlana 910 metrów
140 000 zł
do negocjacji
Lokalizacja
Augustów
Mazowieckie