Firmowe
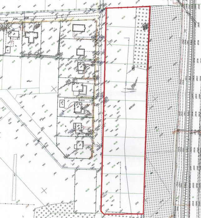
Rodzaj: Działki budowlane
Powierzchnia: 16 600 m²
Cena za m²: 27.41 zł/m²
Opis
Syndyk masy upadłości ogłasza konkurs ofert na nabycie z wolnej ręki następującej nieruchomości: prawo użytkowania wieczystego działek nr 99/31, 99/32, 99/33, 99/34, 99/35, 99/36, 99/37, 99/38, 99/39, 99/40, 99/41 (województwo lubelskie, powiat kraśnicki, jednostka ewidencyjna Kraśnik-miasto, obręb Kwiatkowice), dla którego prowadzona jest księga wieczysta nr LU1K /00086718/2.
Cena wywoławcza przedmiotu konkursu ofert wynosi 455 000 zł (słownie: czterysta pięćdziesiąt pięć tysięcy zł) brutto.
Wymagane wadium w wysokości: 45 500 zł (słownie: czterdzieści pięć tysięcy pięćset zł) należy wpłacić przelewem na rachunek bankowy syndyka prowadzony dla masy upadłości, w mBank, o numerze: 84 1140 2004 0000 3802 8464 6220 z dopiskiem "konkurs ofert – nieruchomość LU1K/00086718/2", najpóźniej do dnia 21 stycznia 2026 roku, przy czym liczy się faktyczny termin uznania kwoty w/w wadium na w/w rachunku bankowym.
Pisemne oferty należy składać w terminie do dnia 21 stycznia 2026 r., poprzez przesłanie jej (w formie i treści zgodniej z regulaminem sprzedaży) na adres biura syndyka: Doradca Restrukturyzacyjny Tomasz Grzelka, ul. Brygady Pościgowej 2/33, 03-984 Warszawa, listem poleconym (decyduje data wpływu oferty do biura a nie data jej nadania).
Otwarcie i rozpoznanie ofert nastąpi w dniu 22 stycznia 2026 r., o godz. 10.00 na posiedzeniu niejawnym w biurze syndyka.
W przypadku złożenia dwóch lub więcej ofert cenowych o takiej samej wysokości, syndyk w terminie 3 dni wezwie oferentów do przedstawienia nowych pisemnych ofert zawierających inne (wyższe) propozycje ceny. W przypadku braku złożenia nowych ofert wybór nabywcy należy do syndyka;
Opis i oszacowanie przedmiotu sprzedaży oraz regulamin sprzedaży są dostępne do wglądu na żądanie każdego zainteresowanego zgłoszone pod adres e-mail. Dodatkowe informacje są udzielane również telefonicznie.
Syndyk zastrzega sobie prawo do unieważnienia przetargu lub odstąpienia od wyboru oferty bez podania przyczyny.
Cena wywoławcza przedmiotu konkursu ofert wynosi 455 000 zł (słownie: czterysta pięćdziesiąt pięć tysięcy zł) brutto.
Wymagane wadium w wysokości: 45 500 zł (słownie: czterdzieści pięć tysięcy pięćset zł) należy wpłacić przelewem na rachunek bankowy syndyka prowadzony dla masy upadłości, w mBank, o numerze: 84 1140 2004 0000 3802 8464 6220 z dopiskiem "konkurs ofert – nieruchomość LU1K/00086718/2", najpóźniej do dnia 21 stycznia 2026 roku, przy czym liczy się faktyczny termin uznania kwoty w/w wadium na w/w rachunku bankowym.
Pisemne oferty należy składać w terminie do dnia 21 stycznia 2026 r., poprzez przesłanie jej (w formie i treści zgodniej z regulaminem sprzedaży) na adres biura syndyka: Doradca Restrukturyzacyjny Tomasz Grzelka, ul. Brygady Pościgowej 2/33, 03-984 Warszawa, listem poleconym (decyduje data wpływu oferty do biura a nie data jej nadania).
Otwarcie i rozpoznanie ofert nastąpi w dniu 22 stycznia 2026 r., o godz. 10.00 na posiedzeniu niejawnym w biurze syndyka.
W przypadku złożenia dwóch lub więcej ofert cenowych o takiej samej wysokości, syndyk w terminie 3 dni wezwie oferentów do przedstawienia nowych pisemnych ofert zawierających inne (wyższe) propozycje ceny. W przypadku braku złożenia nowych ofert wybór nabywcy należy do syndyka;
Opis i oszacowanie przedmiotu sprzedaży oraz regulamin sprzedaży są dostępne do wglądu na żądanie każdego zainteresowanego zgłoszone pod adres e-mail. Dodatkowe informacje są udzielane również telefonicznie.
Syndyk zastrzega sobie prawo do unieważnienia przetargu lub odstąpienia od wyboru oferty bez podania przyczyny.
ID: 1046161271
xxx xxx xxx
Dodane 26 grudnia 2025
1,66 ha sprzeda syndyk
455 000 zł
Lokalizacja
Kraśnik
Lubelskie