Firmowe
Rodzaj: Działki budowlane
Powierzchnia: 798 m²
Cena za m²: 124.06 zł/m²
Opis
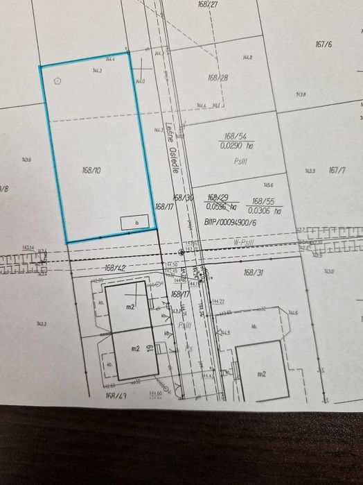
Oferuję do sprzedaży działkę budowaną przy ul. Leśne Osiedle w Bielsku Podlaskim. Działka ma regularny kształt prostokąta i szersza strona przylega do ulicy. Media w działce: prąd, woda z sieci miejskiej. Działka posiada warunki zabudowy pod dom jednorodzinny lub bliźniak. Zapraszam do kontaktu.
ID: 852309120
xxx xxx xxx
Dodane 02 listopada 2025
Piękna działka budowlana ul. Leśne Osiedle, PROMOCJA
99 000 zł
do negocjacji
Lokalizacja
Bielsk Podlaski
Podlaskie
