Przejdź do głównej części
Czat

Powiadomienia

Dodaj ogłoszenie
Działka nad jeziorem Krasne
Działka nad jeziorem Krasne
PromujOdśwież

Prywatne

Rodzaj: Działki rekreacyjne

Powierzchnia: 300 m²

Cena za m²: 133.33 zł/m²

Opis

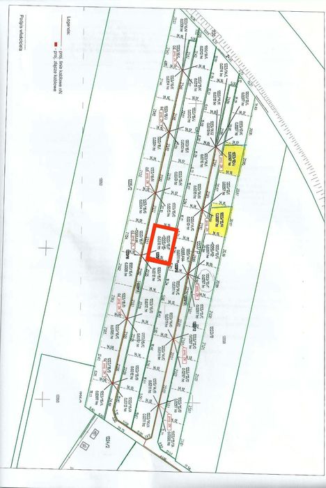
Do sprzedania działka 3a zaznaczona na zdjeciu na żółto z literą H .
-do jeziora Krasne 1.3km ,
- do jeziora Krzczeń 1 km
- możliwość podłączenia prądu (obok dzialki jest skrzynka elektryczna)
- na działce znajduje się szambo betonowe 5 m³
ID: 1041568964

Skontaktuj się

Bożym Maciek

Na OLX od maj 2023

Ostatnio online w dniu 29 listopada 2025

xxx xxx xxx

Dodane 29 listopada 2025

Działka nad jeziorem Krasne

40 000 zł

Lokalizacja

Location

Krasne

Lubelskie

Darmowa aplikacja na Twój telefon